Kohlehandel
Zeitzeugen berichten, dass es gegenüber der Güterabfertigung auf der anderen Straßenseite bereits vor 1945 den Kohlehandel Keßler gab. Mit dieser Lage hatte der Betrieb gegenüber den anderen in Frankfurt ansässigen Kohlehändlern den Vorteil kurzer Wege.

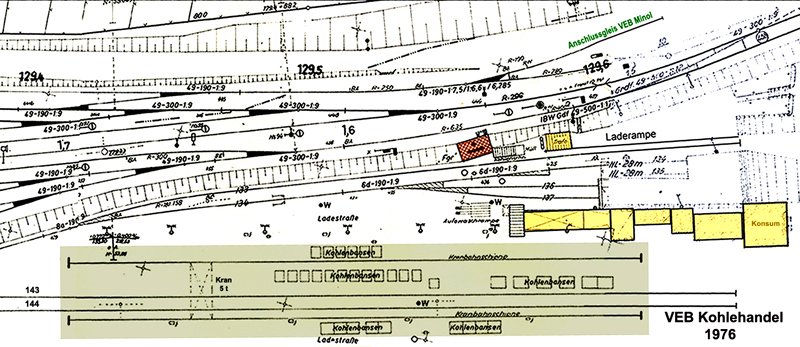
Als 1953 auf dem Gelände des Ortsgüterbahnhofes Frankfurt (Oder) der VEB Kohlehandel eingerichtet wurde, spielte sicher auch dieser Vorteil eine wichtige Rolle.
Die Bezirksdirektion des Kohlehandels mit Sitz beim VEB Kraftverkehr in der Karl-Marx-Straße war für den ganzen Bezirk Frankfurt (Oder) zuständig. Die Mitarbeiter erledigten die Planung und Verteilung der Kohlezuführung auch für die anderen Verteilerzentren.
Die Niederlassung an der August-Bebel-Straße mit einem Arbeitskräftebestand zwischen 40 bis 50 belieferte die Frankfurter Kommissionshändler und teilweise auch Einzelkunden. Dazu standen ihr ein Bahnanschluss mit den Gleisen 143 und 144 zur Verfügung.
Werner Gerlach (Jahrgang 1921) von 1956 bis 1975 überwiegend als Sicherheitsinspektor beim VEB Kohlehandel tätig, erinnert sich: „An Technik standen anfangs nur Schaufeln, Förderbänder und Schrapper zur Verfügung. Ende der Fünfziger Jahre erhielten wir einen Autodrehkran (ADK). Auch Raupenkräne vom Typ RK3 fanden Verwendung. Für den Transport gab es die LKW-Typen MAN, Studebaker, H3A, S4000, Robur, W50 und Multicar, Traktoren der Typen Pionier und Aktivist sowie Pritschen- und Kippanhänger.“
![]() |
Für den Kohleumschlag kamen auch solche Förderbänder zum Einsatz. Im Hintergrund ist die Ausfahrgruppe Fgs zu erkennen. Foto: Werner Gerlach |
In den 60er Jahren kamen schrittweise bis zu 33 Hochbunker für je 20 Tonnen mit Wiegeeinrichtung dazu. Beschickt wurden sie im Endzustand durch zwei von Barleben gelieferten Portalkränen mit einer Tragfähigkeit von 5 Tonnen.

Die Anlagen des VEB Kohlehandels im Dezember 1991. Mit zwei Portalkränen wurden die 33 Hochbunker beschickt.
Foto: Lothar Meyer
Der ehemalige Planungsleiter des Kohlehandels, Alfred Weißgerber (Jahrgang 1938) erinnernt sich: „Der Umschlag fester Brennstoffe für Haushalte und Betriebe betrug in den letzten Jahren im Durchschnitt pro Tag 200 bis 250 Tonnen.“
Langjährige Leiter waren Georg Döbbicke und Harry Lange. Letzterer war bis zur Auflösung des VEB Kohlehandel im Jahre 1992 dort tätig.
Danach gab es auf dem Gelände private Kohlehändler.